Generalna Dyrekcja Dróg Krajowych i Autostrad zatwierdziła projekt nowej stałej organizacji ruchu na warszawskim odcinku trasy S8 od węzła Konotopa do węzła Marki. Zmiany, o które od 2024 roku zabiegał radny dzielnicy Białołęka Sebastian Gut, obejmą m.in. likwidację buspasa i pasa awaryjnego między Wisłostradą a Marymontem, dołożenie pasów na kluczowych węzłach oraz uporządkowanie oznakowania pionowego i poziomego, a ich wdrożenie zaplanowano na II–III kwartał 2026 roku.
Warszawski odcinek trasy S8 jest jednym z najbardziej obciążonych fragmentów sieci drogowej w Polsce. Jak relacjonuje radny Białołęki Sebastian Gut, codziennie przejeżdża tędy ponad 200 tys. pojazdów, a kierowcy regularnie stoją w korkach, które potrafią wydłużyć czas przejazdu o kilkadziesiąt minut. Radny powołuje się przy tym na dane Zarządu Dróg Miejskich w Warszawie, z których wynika, że Most gen. Stefana Grota-Roweckiego jest obecnie najbardziej eksploatowaną przeprawą w kraju – dziennie przejeżdża nim około 180 tys. pojazdów. Skala natężenia ruchu powoduje, że każda zmiana w organizacji ruchu na tym odcinku ma bezpośrednie przełożenie na codzienne funkcjonowanie tysięcy kierowców.
Sebastian Gut od 2024 roku prowadził rozmowy z Generalną Dyrekcją Dróg Krajowych i Autostrad w sprawie poprawy organizacji ruchu na S8 w granicach Warszawy. Jak przekazał w listopadzie 2024 roku, GDDKiA informowała wówczas, że jest w trakcie aktualizacji projektu stałej organizacji ruchu na odcinku od węzła Konotopa do węzła Marki. Zakres prac miał obejmować zmiany w oznakowaniu pionowym i poziomym, ukierunkowane na ograniczenie liczby znaków, poprawę czytelności informacji dla kierowców, zmniejszenie liczby odcinków przeplatania oraz ograniczenie punktów kolizji poszczególnych relacji węzłowych. Wstępnie zakładano zakończenie uzgodnień i zatwierdzenie projektu na przełomie 2024 i 2025 roku, a wprowadzenie zmian na przełomie I i II kwartału 2025 roku.
Ostatecznie projekt stałej organizacji ruchu został zatwierdzony 12 listopada 2025 roku. GDDKiA w piśmie skierowanym do radnego wskazała, że chodzi o dokument pod nazwą „Aktualizacja projektu Stałej Organizacji Ruchu na drodze ekspresowej nr S8 wynikająca z weryfikacji oznakowania SOR”. Jednocześnie poinformowała, że ze względu na warunki pogodowe uniemożliwiające wykonanie zmiany oznakowania poziomego rozpoczęcie prac przesunięto na przyszły rok. Według przekazanych informacji, wdrażanie nowej organizacji ruchu zaplanowano na II i III kwartał 2026 roku, z zastrzeżeniem, że będzie prowadzone etapowo w zależności od dostępnych środków finansowych.






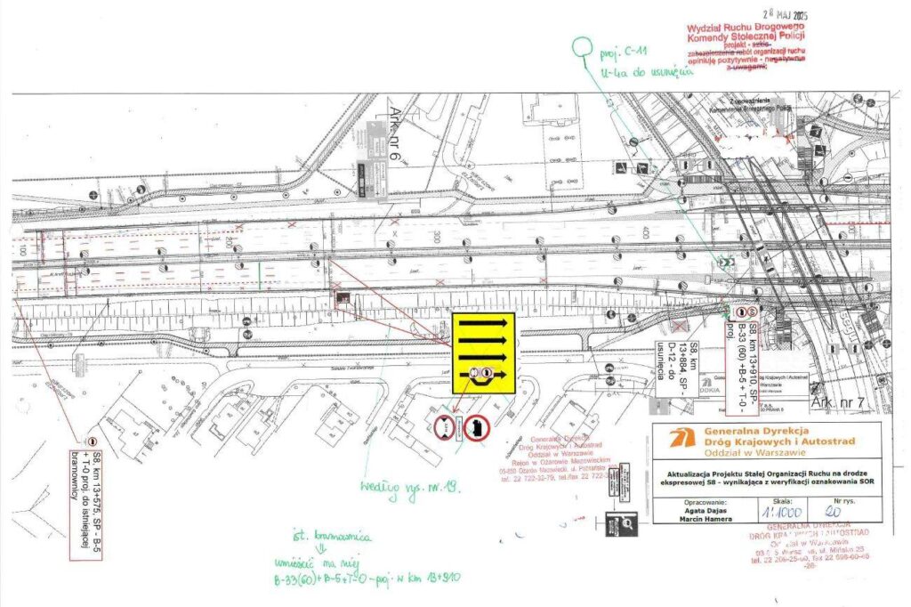
Jednym z kluczowych elementów zatwierdzonego projektu są zmiany na odcinku pomiędzy Wisłostradą a Marymontem. Obecnie na tej części trasy funkcjonuje buspas oraz pas awaryjny, co ogranicza przepustowość jezdni w głównym ciągu. Zgodnie z informacjami przekazanymi przez Sebastiana Guta, po wprowadzeniu nowej organizacji ruchu buspas i pas awaryjny mają zostać zlikwidowane, a ich przestrzeń zostanie włączona do ruchu ogólnego. W efekcie kierowcy otrzymają do dyspozycji cztery pasy ruchu w każdą stronę, co ma poprawić płynność przejazdu przez ten szczególnie obciążony fragment S8.
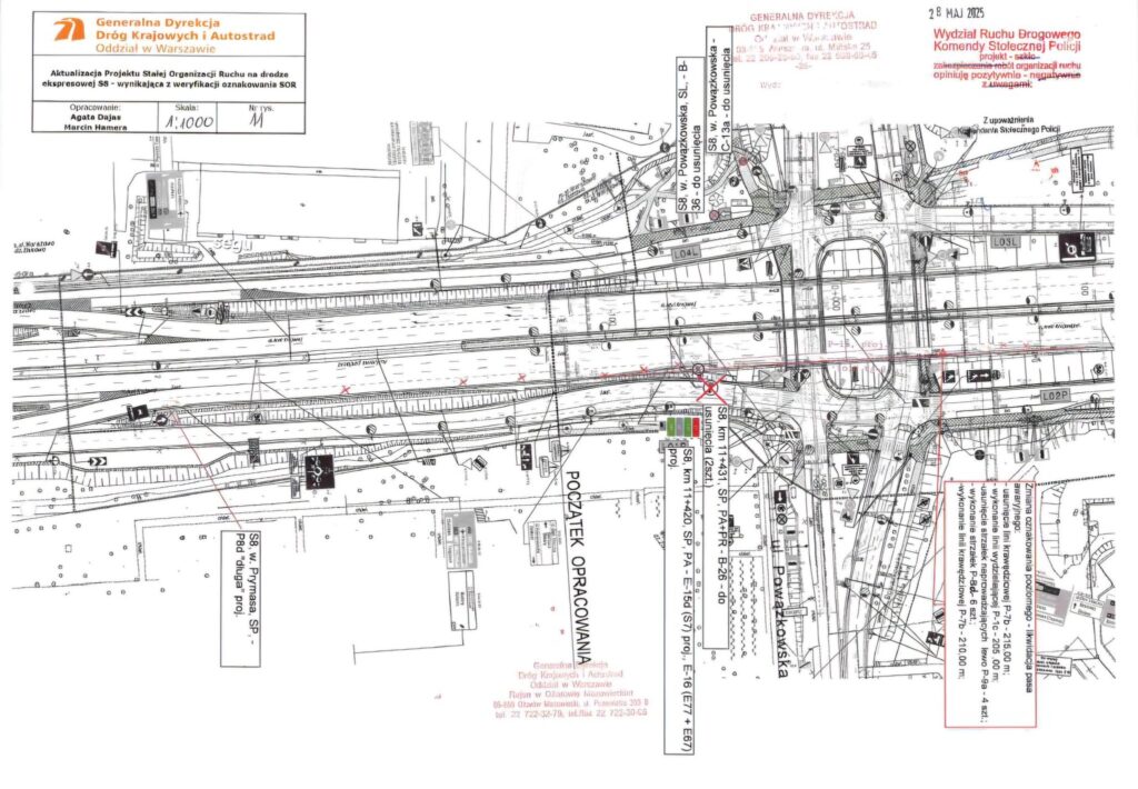
Istotne modyfikacje przewidziano również na węźle Modlińska. Dla relacji od Marek w kierunku mostu powstanie dodatkowy pas na jezdni zbiorczo-rozprowadzającej, co ma ułatwić włączanie się do ruchu w rejonie mostu. Z kolei dla kierowców wjeżdżających na S8 od strony ulicy Modlińskiej zmieniona zostanie konfiguracja pasów – zamiast dotychczasowych dwóch pasów włączeniowych pozostanie jeden, co ma uporządkować ruch na głównym ciągu i ograniczyć niebezpieczne przeplatanie się pojazdów.



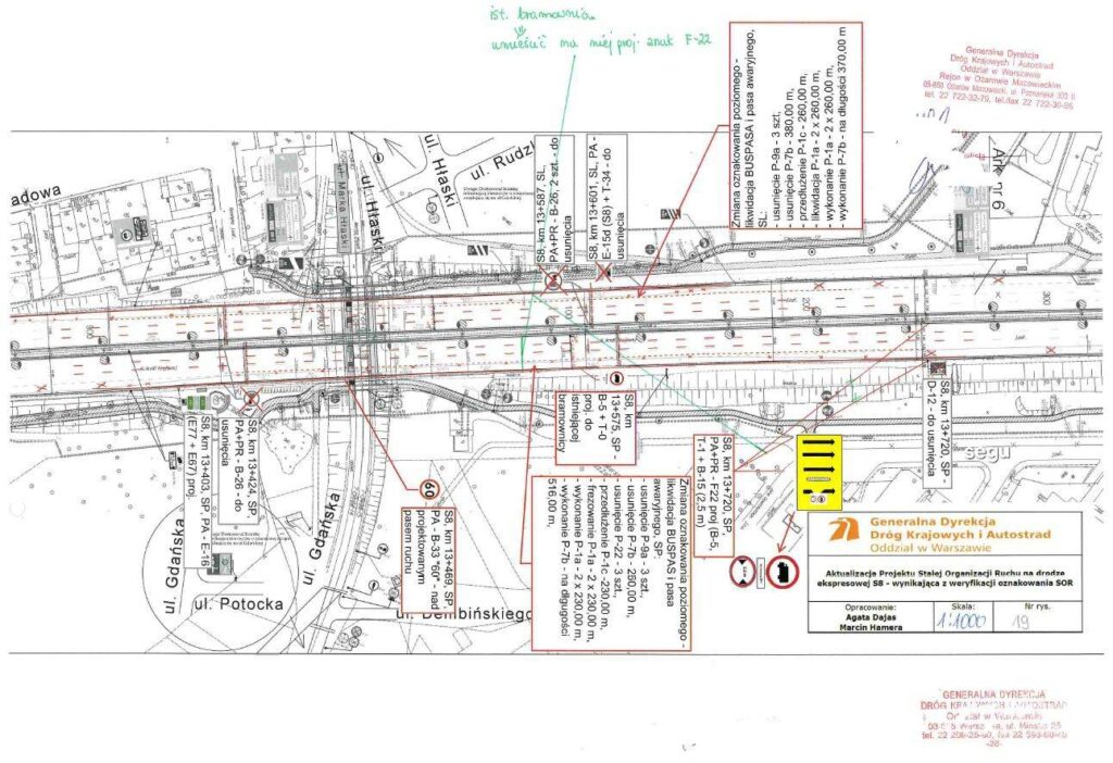
Zmiany obejmą także węzeł Łabiszyńska. Na jezdni w kierunku Białegostoku skrajny prawy pas, dotychczas wykorzystywany przede wszystkim do zjazdu na węzeł, ma zostać przeznaczony również do jazdy na wprost. Rozwiązanie to ma zwiększyć przepustowość w głównym ciągu, pozwalając części kierowców kontynuować jazdę bez konieczności szybkich zmian pasa tuż przed węzłem.
Na węźle Powązkowska projekt przewiduje likwidację pasa awaryjnego pod wiaduktem. Pas włączający, z którego korzystają pojazdy wjeżdżające na S8, ma zostać przekształcony w dodatkowy pas przeznaczony do zjazdu na ulicę Broniewskiego. Taka zmiana ma uporządkować ruch w rejonie węzła i ograniczyć sytuacje, w których pojazdy z krótkich pasów włączających gwałtownie wcinają się w główny strumień jadący w kierunku mostu Grota-Roweckiego.
W komunikatach przekazywanych opinii publicznej Sebastian Gut podkreśla, że projektowane zmiany są odpowiedzią na codzienne problemy kierowców przejeżdżających warszawskim odcinkiem S8. Zwraca uwagę, że duża liczba odcinków przeplatania, krótkie pasy włączeniowe i wyłączeniowe oraz gęste oznakowanie powodują obecnie liczne spowolnienia i sytuacje kolizyjne. Ograniczenie liczby znaków, ujednolicenie oznakowania oraz dołożenie pasów w newralgicznych miejscach ma poprawić czytelność organizacji ruchu, a tym samym zwiększyć bezpieczeństwo i płynność przejazdu.
Radny zaznacza równocześnie, że planowane zmiany nie rozwiążą wszystkich problemów na S8. Ze względu na skalę natężenia ruchu – sięgającą, według przytoczonych danych, ponad 200 tys. pojazdów na dobę – trasa nadal pozostanie jednym z najbardziej newralgicznych ciągów komunikacyjnych w Warszawie. Projekt aktualizacji organizacji ruchu ma jednak przynieść wymierną poprawę codziennych warunków jazdy, szczególnie na odcinkach, gdzie obecnie regularnie tworzą się największe zatory.
GDDKiA w piśmie do Sebastiana Guta poinformowała, że wdrażanie nowej organizacji ruchu będzie odbywało się etapowo. Ma to związek zarówno z koniecznością dostosowania prac do warunków pogodowych, jak i z ograniczeniami finansowymi. Oznacza to, że kierowcy będą obserwować zmiany na poszczególnych fragmentach S8 sukcesywnie – w miarę wprowadzania nowego oznakowania pionowego i poziomego oraz przekształcania pasów ruchu na wybranych węzłach.
Według informacji przekazanych przez radnego, proces uzgodnień projektu prowadzony z udziałem Policji miał na celu znalezienie rozwiązań akceptowalnych z punktu widzenia bezpieczeństwa ruchu drogowego. W trakcie prac analizowano m.in. liczbę i układ pasów w poszczególnych relacjach, lokalizację punktów włączeń i wyłączeń oraz miejsca, w których dochodzi do najczęstszych zdarzeń drogowych i gwałtownych spadków prędkości. Wynikiem tych analiz jest zatwierdzony projekt, który – po wdrożeniu – ma uporządkować ruch na jednym z najważniejszych odcinków drogowych w stolicy.
Sebastian Gut zapowiada dalsze monitorowanie procesu wdrażania zmian na S8. W swoich komunikatach zwraca uwagę, że choć projekt jest kompromisem pomiędzy oczekiwaniami kierowców, służb a możliwościami technicznymi i finansowymi zarządcy drogi, to stanowi ważny krok w kierunku poprawy warunków przejazdu przez Warszawę. Zakończenie prac w II–III kwartale 2026 roku będzie oznaczało praktyczne zweryfikowanie, czy przyjęte rozwiązania zmniejszą liczbę korków i usprawnią ruch na trasie, która codziennie obsługuje setki tysięcy podróży.



